In questo sito vengono utilizzati cookie che consentono di fornire una migliore esperienza di navigazione all'utente. Continuando la navigazione del nostro sito, dai il tuo consenso all'utilizzo di cookies.
Ulteriori informazioni
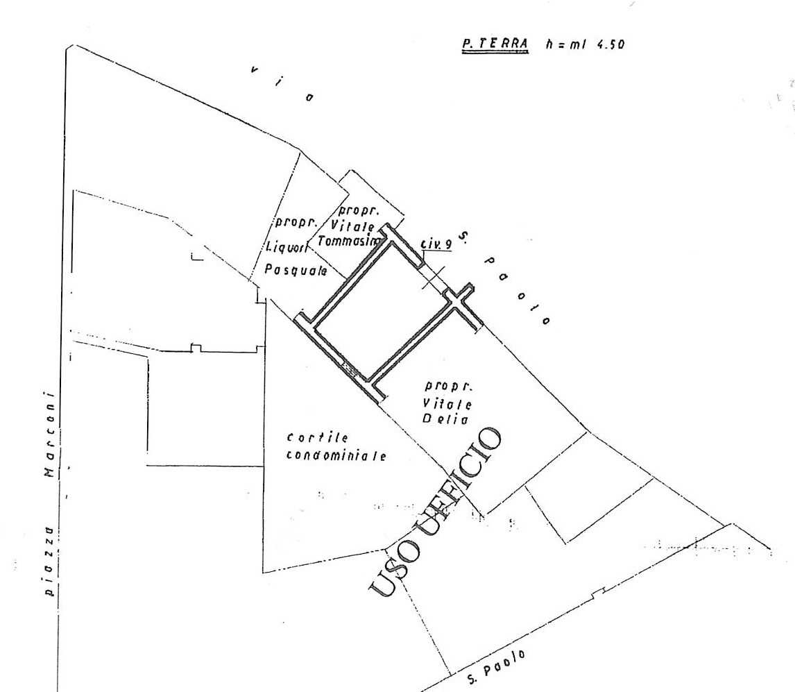
NT107 | Negozio / Locale comm. in Vendita | Aversa
NT107 | Negozio / Locale comm. in Vendita | Aversa
DETTAGLI
Prezzo: € 34.000
Metratura:27
Anno:1800
Piano:t su 2
Stato interno:Buono / Discreto
Camere:1
Bagni:1
Riscaldamento:Inesistente
Classe energetica:G
IPE:140 kWh/mca
DESCRIZIONE DELL'IMMOBILE
Aversa - Via del Seggio - Locale commerciale di circa 27 mq interni. Il locale ha affaccio su strada principale nei pressi del Bar Marino e di Piazza Marconi (piazza mercato) dove c'è ampio parcheggio. Ottimo anche come investimento. €. 34.000. Empire Network Agenzia Aversa.